
На 31 октомври отбелязваме Международния ден на Черно море и всяка година това е повод не толкова за празник, колкото за равносметка какво се случва с най-близкия ни соленоводен басейн. Полагаме ли достатъчно грижи за него? Черно море е подложено на редица заплахи – различни видове замърсявания, военни действия, сондажи за газ, свръхриболов. Една от заплахите, чиито щети остават под повърхността, е дънното тралене – нелегално, но често използвано от бракониери. Можем ли да им противодействаме? Прочети текста, за да разбереш как да разпознаеш дънното тралене и до кого можеш да подадеш сигнал.
Какво е тралене?
Траленето е популярен метод за индустриален риболов, който е предназначен за бързо улавяне на големи количества рибни продукти или морски дарове. Представлява влачене на голяма мрежа от кораб или лодка. Когато лодките или корабите тралят, те се движат необичайно бавно – едва с няколко възела в час. Зад тази бавна скорост обаче се крие огромна сила и разрушителен натиск за екосистемите.
Мрежата може да се движи както по самото дъно, така и малко над него. От това как е разположена мрежата зависи какъв вид морски продукт би се хванал. Именно контактът на мрежата с дъното определя и какъв е видът на трала.
Как да различиш видовете тралене?
В България е разрешено траленето (дори в защитени зони) с така наречените пелагичен трал и бийм трал.
Пелагичният трал не влиза в контакт с дънната повърхност, движи се в средния слой на водата и се използва предимно за видове като цаца и сафрид. Мрежата му е с малко око (до 30 мм) и има пластмасови топки по краищата, които я поддържат разтворена и ѝ помагат да се отлепя по-лесно от дъното. Тя се дърпа от кораб с две големи дъски (врати), които също я поддържат в разтворена позиция. Методът обикновено се прилага от плавателни съдове, по-големи от 16 метра – при по-малките този вид трал се използва по-трудно. Ловува се на по-голяма дълбочина – над 30 метра. Въпреки че контактът с дъното е минимален, пелагичният трал е не по-малко разрушителен за биоразнообразието, тъй като в мрежата попадат и видове, различни от целевите, включително и делфини.

Бийм тралът от своя страна е подходящ за по-малки плавателни съдове – най-често с дължина между 12 и 16 метра и дълбочина до 30 метра. Уловът включва рапани и дънни риби, като калкана. Представлява мрежа, която се дърпа от кораб, но няма дъски, които да я държат разтворена. Вместо това се придържа от голяма метална или дървена греда (beam), като така намалява контактът с дъното в сравнение с дънния трал. Въпреки това контактът остава, което класифицира бийм трала като подвид дънен трал – мрежата се влачи по дънната повърхност и причинява трайно увреждане на екосистемите. Макар да нанася големи щети, бийм тралът е позволен в България.

Единственият забранен в страната ни вид трал е дънният трал. Въпреки че не е позволен от закона, той често се използва от бракониери – предимно от малки кораби (под 12 метра) и от рибарски лодки (под 9 метра). Те са снабдени с лебедки в задната си част, на които се окачват мрежите. Тези по-малки плавателни съдове не са задължени да подават данни за локацията си, поради което са непроследими, а уловът от тях остава нерегулиран.
Техниката наподобява тази на пелагичния трал, където две метални врати поддържат мрежата отворена. Тези дъски са по-тънки и са в директен контакт с дъното. На пристанището може да се забележи осезаемо износване на по-тънката им страна. Мрежите, които се използват от него, са с различна широчина на отвора спрямо сезона и желания улов. В горната си част имат пластмасови топки, които ги поддържат разтворени под водата, а в долната си част – тежки вериги, за да падат до дъното.
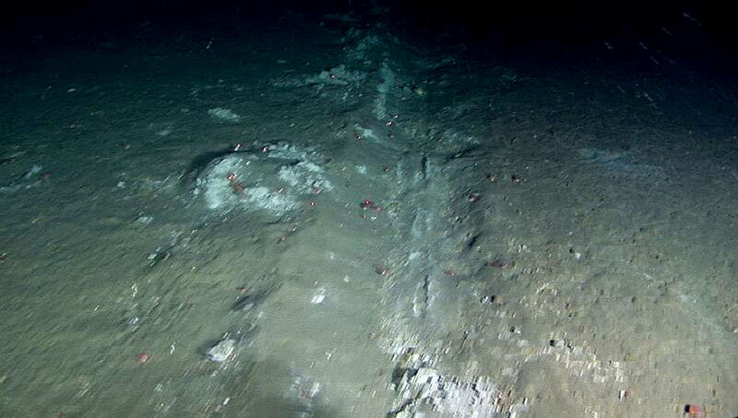
Дънният трал, както се подразбира от името му, е в пълен контакт с морското дъно. Най-често се използва за улов на бяла мида. Мрежите попадат с няколко сантиметра по-ниско по дънната повърхност, като така изравят всички най-ценни за биоразнообразието организми и разрушават цели местообитания.
Използването на този метод оставя характерни напречни линии по дъното. Скорошно проучване на Института по биоразнообразие и екосистемни изследвания и Центъра за подводна археология към БАН откри множество физически следи от дънно тралене. Те ясно показват физическо нарушаване на екосистемите.
Сравнителна таблица на различните видове тралове
| Пелагичен трал | Бийм трал | Дънен трал | |
| Контакт с дъното | Няма – движи се в средните слоеве на водата | Частично опира дъното | Директен – влачи се изцяло по дъното | 
| Основен улов | Цаца, сафрид и други подобни видове | Рапани, калкани, дънни риби | Предимно бяла мида, други видове дънни организми | 
| Конструкция | Мрежа с пластмасови топки по краищата и две метални врати | Мрежа, поддържана от тежка греда (beam), без врати | Мрежа с тънки метални или дървени врати и вериги за тежест. Прикачени за по-малък кораб или на рибарски лодки с лебедка | 
| Вид плавателен съд | Голям, над 16 метра | Най-често между 12 и 16 метра | Най-често под 12 метра (могат и да са рибарски лодки) | 
| Дълбочина на тралене | Над 30 метра | До 30 метра | В плитки зони | 
| Въздействие върху биоразнообразието | Ограничено – в мрежата попадат и видове, различни от целевите, включително делфини | Високо – трайно увреждане на дънните екосистеми | Изключително високо – нанася най-големи щети, като изравя всички организми от морското дъно | 
| Законен статус | Разрешен | Разрешен | Забранен | 
Къде в Черно море има най-голям натиск от тралене?
Анализ на „Грийнпийс“ – България, направен с данни от Global Fishing Watch, показва, че немалка част от българската акватория е подложена на интензивен натиск от тралене, като защитените зони също не са пощадени. Сред тях са зоните „Емине – Иракли“, „Галата“, „Комплекс Калиакра“ и „Ропотамо“.
Всяка от тях има свой план за управление и свои регулации, които не са достатъчно ефективни и не осигуряват реална защита за дънните екосистеми и морските обитатели. В „Емине – Иракли“, „Галата“ и „Ропотамо“ основните регулации са свързани с употребата на торове и вещества, които допринасят за еутрофикацията. Там има забрана за дънни тралиращи средства, която така или иначе се прилага за цялата акватория на България. Както вече стана ясно обаче, пелагичният трал и бийм тралът не са подложени на регулация.

Анализът е обобщен в карти и обхваща периода от 2017 до 2024 г. Използвани са AIS/VMS сигнали, което означава, че картите показват следите от кораби, регистрирани като тралове – по-големи и добре оборудвани плавателни съдове. Те притежават системи за местоположение, които обаче невинаги са включени. По-малките лодки пък изобщо не са задължени да подават информация за локацията си. Поради тази причина анализът показва само част от картината и действителният натиск върху морското дъно е много по-висок.
Как можеш да подадеш сигнал?
„Грийнпийс“ – България призовава гражданите да бъдат бдителни и да подават сигнали, ако различат лодка с дънен трал. Плавателните съдове имат лебедки в задната си част, за които се закачат мрежите. Използването на дънен трал може да се разпознае също и по улова, тъй като най-често се използва за бели миди, рапани, калкан. В случай на нередност гражданите могат да звънят на тел. 112 с конкретна локация и номер на кораб.


